The 5 Best Places to Fly a Drone in San Antonio (2026)
A list of the best places to fly a drone in San Antonio, Texas.
In this article, we’ve scouted out the best places to fly a drone in San Antonio, Texas.
If you live in (or are traveling to) San Antonio, please use this page as a resource to better understand not just where to fly, but also where it’s legal and illegal to fly a drone. We provide guidance on regulations to help you stay compliant with both federal and local rules.

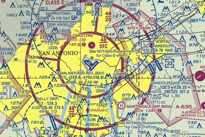
A Sectional Chart of the airspace surrounding San Antonio, TX. Source: VFR Map
San Antonio Drone Laws — Recreational vs. Commercial
The first thing to understand about flying a drone in San Antonio (or any city for that matter) is that under federal FAA regulations, you are either operating recreationally or commercially.
- Recreational drone pilots fall under the FAA’s recreational flyer rules, which are laid out here. Make sure your aircraft is registered and you complete The Recreational UAS Safety Test (TRUST), which are both required by the FAA.
- Commercial drone pilots fall under the FAA’s Part 107 regulations, which require passing a multiple-choice test and becoming an FAA-certified drone pilot. More information on the drone certification process over here.
Drone operators are no longer required to independently contact air traffic control when flying within five miles of an airport. Instead, both recreational and commercial flyers can use the automated LAANC system to request airspace authorization to fly in controlled airspace around and above many airports. If you’re operating in Class B, C, D, or E controlled airspace, you’ll need to request airspace authorization. You may do this through LAANC or through FAADroneZone in areas where LAANC is not available.
When we list locations below, we’ll share whether they sit in controlled or uncontrolled airspace.
Get up-to-date airspace information, including temporary flight restrictions, using free apps like Aloft , Autopylot , or B4UFLY .
Interested in becoming an FAA-certified drone pilot so you can operate under the Part 107 regulations and make money flying your drone? Check out our industry-leading, online training course over at Drone Pilot Ground School.
So those are the federal rules.
But what about local San Antonio drone laws?
Here’s a guide we put together for drone laws in Texas. Make sure to consult that to see if there are any local drone ordinances you should follow in San Antonio. When in doubt, use good judgment and follow the FAA’s guidelines.
Note: The content on this page is meant for informational purposes only and is not meant to take the place of legal counsel. If we missed something, or if you have further questions, please send an email to support[at]uavcoach[dot]com, and we’ll do our best to help you out.
Where to Fly a Drone in Texas
Alrighty—without further ado, here are our top picks for the best places to fly a drone in the San Antonio area. We selected these locations based on airspace restrictions, accessibility, and attractions. You’ll find that most of the locations we’ve chosen are located in uncontrolled, Class G airspace where you don’t need to request permission to fly. Additionally, we made sure to highlight any locations with designated sUAS/remote aircraft fields.
1 — Travis Park
301 E Travis St, San Antonio, TX 78205
- Airspace Class: Class G —Uncontrolled
- Airspace Map: https://b4ufly.aloft.ai/?lat=29.427803&long=-98.489710
Travis Park is located in downtown San Antonio, Texas, right across the street from the restored San Anthony Hotel. It was established in 1870 when Samuel Augustus Maverick willed the property to the City of San Antonio. After the Civil War concluded, the first statue in San Antonio was placed in the park. The statue was also the first to ever be designed by a woman, and it was to represent the common soldiers. Due to the controversy, the statue was removed from the park on September 1, 2017. Drone pilots will enjoy the wide-open area that offers incredible views of the downtown area.

Source: Joe Diaz
2 — Woodlawn Lake Park
1103 Cincinnati Ave, San Antonio, TX 78201
- Airspace Class: Class G — Uncontrolled
- Airspace Map: https://b4ufly.aloft.ai/?lat=29.451581&long=-98.532567
Woodlawn Lake Park is 62 acres and is located in San Antonio, Texas. It was originally developed in the 1880s for the intended purpose of becoming a residential area on the rural west side of San Antonio. It was often called “the finest artificial lake in the South.” The lake is around 30 acres and features a small lighthouse in the middle. This sprawling park is the perfect location to capture scenic views of the lake and the surrounding area.

Source: Larry D. Moore
3 — Denman Estate Park
7735 Mockingbird Ln, San Antonio, TX 78229
- Airspace Class: Class C — Controlled
- Airspace Map: https://b4ufly.aloft.ai/?lat=29.509797&long=-98.559684
Denman Estate Park consists of21 acres purchased by the City of Antonio as part of the estate of attorney Gilbert J. Denman Jr. The main feature of the park is the Korean Pavilion overlooking the pond. The pavilion was a gift from South Korea to San Antonio and represents facilitating business and cultural friendships. Mature trees can be found throughout the property and surrounding the pond. Drone pilots will appreciate the cultural history of the location and its picturesque views.

Source: Pepelinaviejo
4 — Comanche Lookout Park
15551 Nacogdoches Rd, San Antonio, TX 78247
- Airspace Class: Class G — Uncontrolled
- Airspace Map: https://b4ufly.aloft.ai/?lat=29.583424&long=-98.368277
Comanche Lookout Park is located in San Antonio, Texas, and has the fourth-highest elevation point in Bexar County. The highest point of the 96-acre park is 1,340 feet; Native Americans often used this area as a vantage point. The Comanche Tower still stands to this day and was built in 1928 by retired Army Colonel Edward R. Coppock. It was inspired by his time spent in Europe and his effort to make a castle-like home on the vantage point. Drone pilots will appreciate the history of the park, and the views from the vantage point are one of a kind.
5 — Somerset Field (AMA)
17273 Somerset Rd, Von Ormy, TX 78073
- Airspace Class: Class G — Uncontrolled
- Airspace Map: https://b4ufly.aloft.ai/?lat=29.254225&long=-98.642130
Somerset Field is an AMA field located just outside of San Antonio, Texas, in Von Ormy. It is run and operated by the San Antonio Prop Busters. The airfield features a green runway area with a surrounding field and a small pond. This area is more rural making it a great place to get away from the city and fly your drone. Drone pilots will appreciate the wide-open area this location provides.


Source: Google Maps
Take a Drone Flight Training Class in San Antonio
If you’re new to drones or looking to take your flight skills to the next level, we offer hands-on drone flight training in the San Antonio area. Our classes start at 2-hours long, and our expert instructors walk you through what to do before, during and after your flight—you’ll practice intelligent flight modes and learn how to stay safe but also how to get the shots or data you need. During the class, you’ll also get a chance to ask questions about regulations, software, flight operations management, checklists and more.
Sign up for a hands-on drone flight training class in San Antonio.