The 5 Best Places to Fly a Drone in Little Rock (2026)
A list of the best places to fly your drone in Little Rock, Arkansas.
In this article, we’ve scouted out the best places to fly a drone in Little Rock, Arkansas.
If you live in (or are traveling to) Little Rock, please use this page as a resource to better understand not just where to fly, but also where it’s legal and illegal to fly a drone. We provide guidance on regulations to help you stay compliant with both federal and local rules.

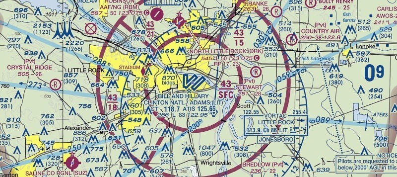
A Sectional Chart of the airspace surrounding Little Rock, AR. Source: VFR Map
Little Rock Drone Laws — Recreational vs. Commercial
The first thing to understand about flying a drone in Little Rock (or any city for that matter) is that under federal FAA regulations, you are either operating recreationally or commercially.
- Recreational drone pilots fall under the FAA’s recreational flyer rules, which are laid out here. Make sure your aircraft is registered and you complete The Recreational UAS Safety Test (TRUST), which are both required by the FAA.
- Commercial drone pilots fall under the FAA’s Part 107 regulations, which require passing a multiple-choice test and becoming an FAA-certified drone pilot. More information on the drone certification process over here.
Drone operators are no longer required to independently contact air traffic control when flying within five miles of an airport. Instead, both recreational and commercial flyers can use the automated LAANC system to request airspace authorization to fly in controlled airspace around and above many airports. If you’re operating in Class B, C, D, or E controlled airspace, you’ll need to request airspace authorization. You may do this through LAANC or through FAADroneZone in areas where LAANC is not available.
When we list locations below, we’ll share whether they sit in controlled or uncontrolled airspace.
Get up-to-date airspace information, including temporary flight restrictions, using free apps like Aloft , Autopylot , or B4UFLY .
Interested in becoming an FAA-certified drone pilot so you can operate under the Part 107 regulations and make money flying your drone? Check out our industry-leading, online training course over at Drone Pilot Ground School.
So those are the federal rules.
But what about local Little Rock drone laws?
Here’s a guide we put together for drone laws in Arkansas. Make sure to consult that to see if there are any local drone ordinances you should follow in Little Rock. When in doubt, use good judgment and follow the FAA’s guidelines.
Note: The content on this page is meant for informational purposes only and is not meant to take the place of legal counsel. If we missed something, or if you have further questions, please send an email to support[at]uavcoach[dot]com, and we’ll do our best to help you out.
Where to Fly a Drone in Little Rock
Alrighty—without further ado, here are our top picks for the best places to fly a drone in the Little Rock area. We selected these locations based on airspace restrictions, accessibility, and attractions. You’ll find that most of the locations we’ve chosen are located in uncontrolled, Class G airspace where you don’t need to request permission to fly. Additionally, we made sure to highlight any locations with designated sUAS/remote aircraft fields.
1 — North Shore Riverwalk Park
- Airspace Class: Class C — Controlled
- Airspace Map: https://b4ufly.aloft.ai/?lat=34.754087&long=-92.272134
North Shore Riverwalk Park is located on the Arkansas River in North Little Rock, Arkansas. It consists of a long green space and features a great view of the Little Rock skyline. Numerous bridges can be seen from the park including a bridge used frequently by trains as they cross the river. In addition, the USS Razorback is docked nearby. Drone pilots will appreciate the variety of filming subjects offered and the openness of the area.

Source: Ed Shipul
2 — Boyle Park
2000 Boyle Park Rd, Little Rock, AR 72204
- Airspace Class: Class G — Uncontrolled
- Airspace Map: https://b4ufly.aloft.ai/?lat=34.728900&long=-92.354892
Boyle Park is located among 243 acres of the wooded rolling hills in Little Rock, Arkansas. Rock Creek flows through the wooded hills making for some remarkable scenery. Although the park is beautiful year-round, it is even more so in the Fall as the leaves begin to change their colors. There is a nice green space next to a fishing pond that would be great for flying a drone.

Source: Eric Hunt
3 — Two Rivers Park
6900 Two Rivers Park Road, Little Rock, AR 72223
- Airspace Class: Class G — Uncontrolled
- Airspace Map: https://b4ufly.aloft.ai/?lat=34.806342&long=-92.395077
Two Rivers Park is located in Little Rock, Arkansas, where the Little Maumelle River and the Arkansas River meet. It consists of 1000 acres with a mix of open fields, wetlands, and wooded areas. The stunning view of the Two Rivers Park Bridge is a favorite among the locals and will be enjoyed by drone pilots looking for that unique aerial perspective.

Photo Credit: Matt Miller from Drones Over Arkansas
4 — Lake Maumelle
- Airspace Class: Class G — Uncontrolled
- Airspace Map: https://b4ufly.aloft.ai/?lat=34.874588&long=-92.574237
Lake Maumelle spans an impressive 8,900 acres with 70 miles of shoreline and is located in Big Rock Township, Arkansas. The lake features breathtaking views of the rolling wooded hills and on a clear day, Pinnacle Mountain can be seen off in the distance. This location’s phenomenal views are something that any drone pilot would enjoy to include in their portfolio.
5 — Pierce Creek Public Boat Landing
- Airspace Class: Class G — Uncontrolled
- Airspace Map: https://b4ufly.aloft.ai/?lat=34.963501&long=-92.377432
The Pierce Creek Public Boat Landing is located on the south end of Lake Conway in Mayflower, Arkansas. This location provides a fantastic view of the lake, which spans an astounding 6,700 acres with 52 miles of shoreline. It is the largest man-made reservoir ever made in the U.S. by a game and fish commission. There are numerous trees that grow in the water creating a unique waterscape that would look great in anyone’s drone footage.


Source: Becky Haner
Take a Drone Flight Training Class in Little Rock
If you’re new to drones or looking to take your flight skills to the next level, we offer hands-on drone flight training in the Little Rock area. Our classes start at 2-hours long, and our expert instructors walk you through what to do before, during and after your flight—you’ll practice intelligent flight modes and learn how to stay safe but also how to get the shots or data you need. During the class, you’ll also get a chance to ask questions about regulations, software, flight operations management, checklists and more.
Sign up for a hands-on drone flight training class in Little Rock.