The 5 Best Places to Fly a Drone in Sacramento (2026)
A list of the best places to fly your drone in Sacramento, California.
In this article, we’ve scouted out the best places to fly a drone in Sacramento, California.
If you live in (or are traveling to) Sacramento, please use this page as a resource to better understand not just where to fly, but also where it’s legal and illegal to fly a drone. We provide guidance on regulations to help you stay compliant with both federal and local rules.

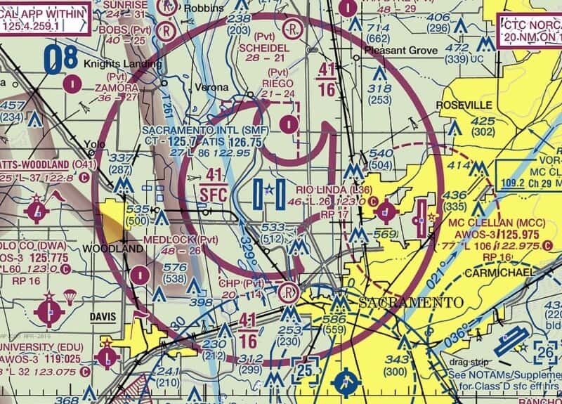
A Sectional Chart of the airspace surrounding Sacramento, CA. Source: VFR Map
Sacramento Drone Laws — Recreational vs. Commercial
The first thing to understand about flying a drone in Sacramento (or any city for that matter) is that under federal FAA regulations, you are either operating recreationally or commercially.
- Recreational drone pilots fall under the FAA’s recreational flyer rules, which are laid out here. Make sure your aircraft is registered and you complete The Recreational UAS Safety Test (TRUST), which are both required by the FAA.
- Commercial drone pilots fall under the FAA’s Part 107 regulations, which require passing a multiple-choice test and becoming an FAA-certified drone pilot. More information on the drone certification process over here.
Drone operators are no longer required to independently contact air traffic control when flying within five miles of an airport. Instead, both recreational and commercial flyers can use the automated LAANC system to request airspace authorization to fly in controlled airspace around and above many airports. If you’re operating in Class B, C, D, or E controlled airspace, you’ll need to request airspace authorization. You may do this through LAANC or through FAADroneZone in areas where LAANC is not available.
When we list locations below, we’ll share whether they sit in controlled or uncontrolled airspace.
Get up-to-date airspace information, including temporary flight restrictions, using free apps like Aloft , Autopylot , or B4UFLY .
Interested in becoming an FAA-certified drone pilot so you can operate under the Part 107 regulations and make money flying your drone? Check out our industry-leading, online training course over at Drone Pilot Ground School.
So those are the federal rules.
But what about local Sacramento drone laws?
Here’s a guide we put together for drone laws in California. Make sure to consult that to see if there are any local drone ordinances you should follow in Sacramento. When in doubt, use good judgment and follow the FAA’s guidelines.
Note: The content on this page is meant for informational purposes only and is not meant to take the place of legal counsel. If we missed something, or if you have further questions, please send an email to support[at]uavcoach[dot]com, and we’ll do our best to help you out.
Where to Fly a Drone in Sacramento
Alrighty—without further ado, here are our top picks for the best places to fly a drone in the Sacramento area. We selected these locations based on airspace restrictions, accessibility, and attractions. You’ll find that most of the locations we’ve chosen are located in uncontrolled, Class G airspace where you don’t need to request permission to fly. Additionally, we made sure to highlight any locations with designated sUAS/remote aircraft fields.
1 — Southside Park
2115 6th St, Sacramento, CA 95818
- Airspace Class: Class D — Controlled
- Airspace Map: https://b4ufly.aloft.ai/?lat=38.570000&long=-121.500000
Southside Park is located just south of downtown Sacramento and was built approximately 100 years ago. It features a beautiful pond surrounded by mature trees and walking trails. The park pond also features a wooded island, there are over 40 species of trees throughout the property. Drone pilots will enjoy the open areas of the park and the scenic views of the surrounding area.

Source: Eric Fredericks
2 — River Walk Park
100 Jibboom St, Sacramento, CA 95811
- Airspace Class: Class G — Uncontrolled
- Airspace Map: https://b4ufly.aloft.ai/?lat=38.584960&long=-121.507653
River Walk Park is located along the west bank of the Sacramento River in West Sacramento, California. It offers a unique and stunning view of Sacramento and the Old Sacramento skyline. Drone pilots will appreciate this location because of the wide-open space this park provides. The Tower Bridge and the I Street Bridge can be viewed from the park.

Source: Michael Grindstaff
3 — Burgdorf -Henson Field (AMA)
- Airspace Class: Class G — Uncontrolled
- Airspace Map: https://b4ufly.aloft.ai/?lat=38.582431&long=-121.708068
Burgdorf – Henson Field is an AMA field that is located in Davis, California. The airfield is run and operated by the Woodland Davis Aeromodelers. The property features a large runway and two sheltered areas. This makes it great for drone pilots setting up their gear or who simply need a break from the heat. The wide-open rural area is not only peaceful, but it also provides ample room for flying drones.

Source: Google Maps
4 — Clay Banks
2000-2074 Elmanto Dr, Rancho Cordova, CA 95670
- Airspace Class: Class D — Controlled
- Airspace Map: https://b4ufly.aloft.ai/?lat=38.621900&long=-121.289301
Clay Banks is a park located along the American River in Rancho Cordova, California. The property features the river, which is a favorite among swimmers and fishermen. It features wide-open areas that make this a great location for flying a drone. Drone pilots will appreciate the scenic views of the river and the surrounding area.

Source: Teresa.r.ogrady
5 — Folsom Lake State Recreation Area
7755 Folsom-Auburn Rd, Folsom, CA 95630
- Airspace Class: Class G — Uncontrolled
- Airspace Map: https://b4ufly.aloft.ai/?lat=38.744422&long=-121.118680
Folsom Lake State Recreation Area is located at the base of the Sierra foothills in Folsom, California. The park is popular among visitors because of its various recreational activities. The decommissioned Folsom Powerhouse can also be seen on the southern shores of the lake. It was once one of the most powerful power plants anywhere in the country. The unique sites and stunning views of the mountainous landscape set anyone up for epic drone footage.

Source: Vince Migliore
Take a Drone Flight Training Class in Sacramento
If you’re new to drones or looking to take your flight skills to the next level, we offer hands-on drone flight training in the Sacramento area. Our classes start at 2-hours long, and our expert instructors walk you through what to do before, during and after your flight—you’ll practice intelligent flight modes and learn how to stay safe but also how to get the shots or data you need. During the class, you’ll also get a chance to ask questions about regulations, software, flight operations management, checklists and more.
Sign up for a hands-on drone flight training class in Sacramento.